Sign up to get new listings emailed daily! JOIN SIGN IN
Briana Burke
REALTOR®
VCard Icon 
Refine Search

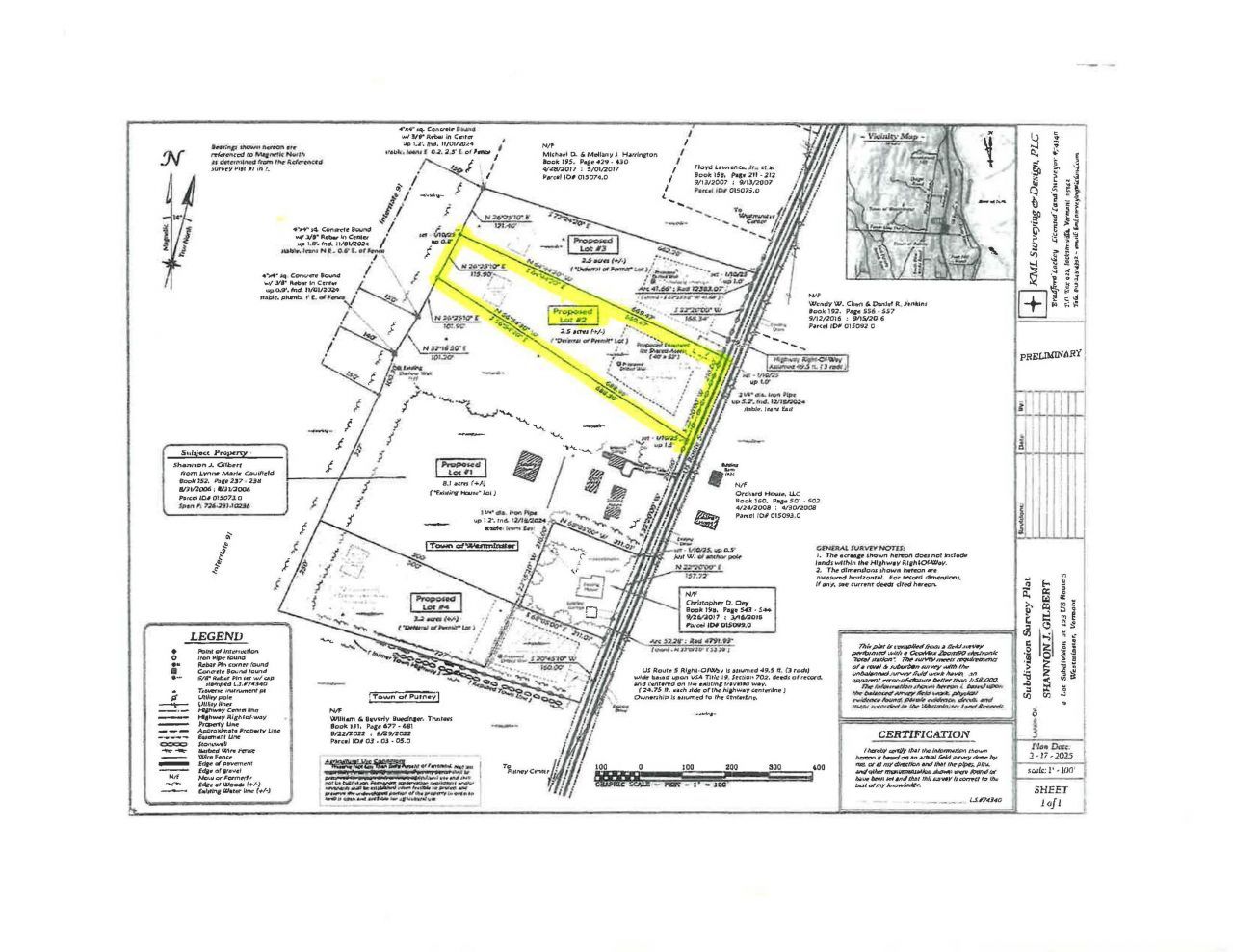
123 Us Route 5, Lot ##2, Westminster, VT 05158

$35,000
  • Main Photo

13 Total Photos [Click to View All]

New to the Market Active
LOT SIZE 2.500 acres MLS#5079172
STATUSActive PROPERTY TYPELand - Residential

Listing Courtesy of: Berkley Veller Greenwood Country
Agency Contact: Off: 802-254-6400
Associate Name: Laura DAngelo
IDX logo


Property Description

This 2.5 acre lot offers a level parcel of land ready for your plans. The wooded lot is composed of immature growth, easing the task of clearing a dwelling/structure site while maintaining trees for privacy. The eastern, road-side section of the parcel can be opened to a lovely view over the NH horizon. Soil testing available and possible septic areas sited. See photos and listing documents. Driveway stub roughed-in. The abutting 2.5 acre Lot #3 also is for sale. This lot is under a Deferral of Permit. See documents. Permission required to view and walk land.

123 Us Route 5, Unit #2 | MLS# 5079172

This land located at 123 Us Route 5, Unit #2, Westminster, VT 05158 is currently listed for sale with an asking price of $35,000. The property has approximately 2.50 Acres. Search Westminster real estate on brianaburke.masiellogrouprealestate.com today.

Property Features

Property Type: Land - Residential
Lot Size: 2.50 Acres

Feature Descriptions

Days on Site: 4
Easements: Yes
Electric: At Street, None
Flood Zone: No
Lot: Country Setting, Level, View, Wooded
Road Frontage: 210
Roads: Paved, Public, Public Maintained Road
Sewer: None, On-Site Septic Needed, Soil Test Available
Surveyed: Yes
Water: None, On-Site Well Needed
Water Access: No
Water View: No
Wooded: Yes
Zoning: Residential

Listed By / Shown By

Listed By

Agency Name: Berkley Veller Greenwood Country
Agency Contact: Off: 802-254-6400
Agent Name: Laura DAngelo

agent picture

Shown By

Agent Name: Briana Burke
Agent Phone:
Agency Title: Better Homes and Gardens Real Estate The Masiello Group

IDX logo

TOUR PROPERTY

Choose a date and time to see 123 Us Route 5, Lot ##2, Westminster, VT 05158.
I will get in touch with you shortly.

Request a Showing
Choose your video chat app
  • Wednesday March 18
  • Thursday March 19
  • Friday March 20
  • Saturday March 21
  • Sunday March 22
  • Monday March 23
  • Tuesday March 24
  • Wednesday March 25
  • Thursday March 26
  • Friday March 27
  • Saturday March 28
  • Sunday March 29
  • Monday March 30
  • Tuesday March 31
  • Wednesday April 1
  • 7:00 AM
  • 7:30 AM
  • 8:00 AM
  • 8:30 AM
  • 9:00 AM
  • 9:30 AM
  • 10:00 AM
  • 10:30 AM
  • 11:00 AM
  • 11:30 AM
  • 12:00 PM
  • 12:30 PM
  • 1:00 PM
  • 1:30 PM
  • 2:00 PM
  • 2:30 PM
  • 3:00 PM
  • 3:30 PM
  • 4:00 PM
  • 4:30 PM
  • 5:00 PM
  • 5:30 PM
  • 6:00 PM
  • 6:30 PM
  • 7:00 PM
  • 7:30 PM
  • 8:00 PM
  • 8:30 PM
  • 9:00 PM
Preferred Communication Method

Estimate Your Payment

Estimated Payment

$ 88.10 per month $77.89 Principal & Interest $0.00 Property Tax (data not provided by mls) $10.21 Homeowner's Insurance

Change Payment Information

%
years/fixed
yearly
yearly (est.)
(Payments are an estimate and may vary by lender)
Disclaimer: All information deemed reliable but not guaranteed. All properties are subject to prior sale, change or withdrawal. Neither listing broker(s) or information provider(s) shall be responsible for any typographical errors, misinformation, misprints and shall be held totally harmless. Listing(s) information is provided for consumers personal, non-commercial use and may not be used for any purpose other than to identify prospective properties consumers may be interested in purchasing. Information on this site was last updated 03/17/2026. The listing information on this page last changed on 03/17/2026. The data relating to real estate for sale on this website comes in part from the Internet Data Exchange program of Delta Media Group MLS (last updated Tue 03/17/2026 12:00:06 AM EST) or MLSPIN MLS (last updated Mon 03/16/2026 11:38:19 PM EST) or Prime MLS (last updated Mon 03/16/2026 11:33:23 PM EST) or MREIS (last updated Mon 03/16/2026 11:55:19 PM EST). Real estate listings held by brokerage firms other than Better Homes and Gardens Real Estate The Masiello Group may be marked with the Internet Data Exchange logo and detailed information about those properties will include the name of the listing broker(s) when required by the MLS. All rights reserved.

Listing data compilation and photo(s) copyright © 2026 PrimeMLS, Inc. All rights reserved. This information is deemed reliable, but not guaranteed. The data relating to real estate displayed on this display comes in part from the IDX Program of PrimeMLS. The information being provided is for consumers’ personal, non-commercial use and may not be used for any purpose other than to identify prospective properties consumers may be interested in purchasing. Data Last Updated 2026-03-16 23:33:23

Privacy Policy / DMCA Notice / ADA Accessibility

Agency License Information: Better Homes and Gardens® and the Better Homes and Gardens Real Estate Logo are registered service marks owned by Meredith Corporation and licensed to Better Homes and Gardens Real Estate LLC. The Masiello Group Limited fully supports the principles of the Fair Housing Act and the Equal Opportunity Act. Each franchise is independently owned and operated. Any services or products provided by independently owned and operated franchisees are not provided by, affiliated with or related to Better Homes and Gardens Real Estate LLC nor any of its affiliated companies.


Login to My Homefinder

Pixel